
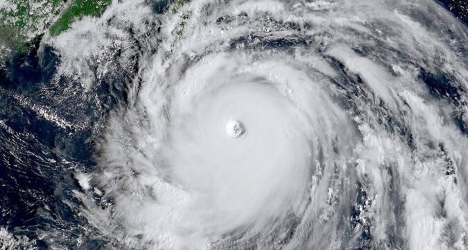
A new scientific analysis concludes that Super Typhoon Ragasa [Nando], which devastated parts of northern Luzon and eastern Taiwan in late September, as well as striking Hong Kong and Macau, southern China, and Vietnam, bore the fingerprints of human-driven climate change.
Between September 21 and 23, Ragasa underwent rapid intensification to Category 5 strength, unleashing torrential rain, floods, and landslides.
Authorities reported at least 11 deaths in the Philippines and 14 in Taiwan as communities were inundated, while Hong Kong and southern China also suffered widespread damage, mass evacuations, and power outages.
Researchers from ClimaMeter, led by scientists Davide Faranda [IPSL-CNRS, France], Tommaso Alberti [INGV, Italy], and Gianmarco Mengaldo [National University of Singapore], found that storms like Ragasa are around 1°C warmer, up to 10 mm/day [10 per cent] wetter, and slightly windier by up to 4 km/h in the present compared to similar past events.
The report concluded that Super Typhoon Ragasa’s exceptional intensity “can mostly be ascribed to human-driven climate change.”
The scientists warned that warmer seas and shifting climate conditions are fueling heavier rainfall, greater flood risks, and more destructive storms, particularly in the Philippines’ mountainous terrain and coastal regions.
Scientists have shown time and again that extreme weather events that intensify rapidly like Super Typhoon Ragasa are linked to the climate crisis. Even a marginal increase in intensity translates to exponential impacts that will be felt for generations
Jefferson Chua
The findings come as the WorldRiskReport 2025 again ranked the Philippines #1 globally in disaster risk vulnerability, citing high exposure and institutional weaknesses.
The study also reignited debate over nearly a trillion pesos [HK$133.4] allocated for flood-control projects between 2023 and 2025, amid allegations of corruption and ghost projects that have undermined critical climate adaptation investments.
Call for accountability
Climate justice advocates said the study underscored the urgent need for accountability from fossil fuel companies and governments.
“Scientists have shown time and again that extreme weather events that intensify rapidly like Super Typhoon Ragasa are linked to the climate crisis. Even a marginal increase in intensity translates to exponential impacts that will be felt for generations,” said Jefferson Chua, Greenpeace Philippines Climate Campaigner.
“The burden of paying for rebuilding lives, only for them to be destroyed again by ever-strengthening storms, shouldn’t be shouldered by ordinary people. With the recent advisory opinion by the ICJ [International Court of Justice], there is little room left to hide for the perpetrators of the climate crisis. They must pay up and be held accountable for their role in warming the planet,” Chua said.
He added that while communities have turned to the courts to hold oil and gas companies accountable, governments must also take a stand in demanding reparations from corporations that continue to put profit above the survival and well-being of humanity.
Global context
The Intergovernmental Panel on Climate Change has projected that while the total number of tropical cyclones in the western North Pacific may decrease, a greater share will reach Category 4 and 5 intensity, bringing heavier rainfall and higher storm surges.
Observations since the 1970s confirm that rainfall linked to typhoons has become more extreme.
ClimaMeter’s analysis reinforces these warnings, finding Ragasa’s severity largely consistent with long-term human-driven climate trends, even as natural variability played a modest role. LiCASNews









